Биш күпфатирлы йорт өчен су белән тәэмин итү челтәрләрен төзү

2019 елның 11 октябре, җомга

Агымдагы елда «социаль ипотека»программасы буенча торак сатып алу өчен 24 фатирлы йорт төзелеше башланган.

Алдагы елларда янәшәдә тагын шундый 4 йорт төзеләчәк. Әгәр дә су, электр һәм газ белән тәэмин итү мәсьәләсе техник яктан хәл ителгән булса, район үзәге җирлегендәге рельефның географик үзенчәлекләренә бәйле рәвештә, үзәк су белән тәэмин итү мәсьәләсе әлегә ачык кала.

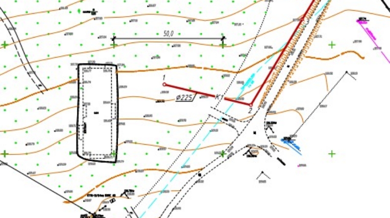
Хәзерге вакытта проект оешмасы тарафыннан, ягулык салу нәтиҗәләре буенча, Печищинский тракты урамындагы челтәрләргә тоташтыру ноктасына кадәр, йортлардан су чыгару челтәрләрен узу схемасы эшләнгән. Схеманы җентекләп өйрәнеп һәм биеклек билгеләре белән чагыштырып, проект оешмасы адресына трассаны үтү мәсьәләсенә төзәтмәләр кертү турында тәкъдим җибәрелгән

 

ЯҢАЛЫКЛАРГА ЯЗЫЛУ
Сайттагы барлык материаллар лицензия буенча тәкъдим ителә:
Creative Commons Attribution 4.0 International